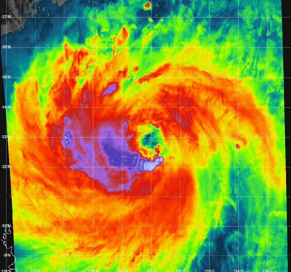
台风凤凰正在快速增强,中心附近最大风力14级(实际已有15级)!将于今晚冲击超强台风强度,明天达到巅峰强度,将达到17-17级以上(58-68m/s)!并将于明晚至后晨以超强台风强度在吕宋岛中南部登陆!我们提醒,“凤凰”是一个环流极其巨大的台风,其12级风圈半径将达到100km以上,比科尔北部沿海、吕宋岛中部都将直面台风眼墙袭击,请菲律宾中北部的华人们立即做好准备!



台风凤凰正在快速增强,中心附近最大风力14级(实际已有15级)!将于今晚冲击超强台风强度,明天达到巅峰强度,将达到17-17级以上(58-68m/s)!并将于明晚至后晨以超强台风强度在吕宋岛中南部登陆!我们提醒,“凤凰”是一个环流极其巨大的台风,其12级风圈半径将达到100km以上,比科尔北部沿海、吕宋岛中部都将直面台风眼墙袭击,请菲律宾中北部的华人们立即做好准备!



猜你喜欢
【18评论】【22点赞】
【3评论】【2点赞】
【515评论】【301点赞】
作者最新文章
热门分类
社会TOP
社会最新文章